旬のおさかな情報インデックス<詳細画面>

「操作」の項目内をクリックすると、各記事ページとインデックスページが切り替わります。

[ このレポートの一覧に戻る ]

旬のおさかな情報インデックス内の1件のデータの詳細表示
発行日 2022/1/27
No. 140
場所 鳥羽市答志
魚種名 マダイ、ヒラメ、メバル類、サヨリ、コウイカ
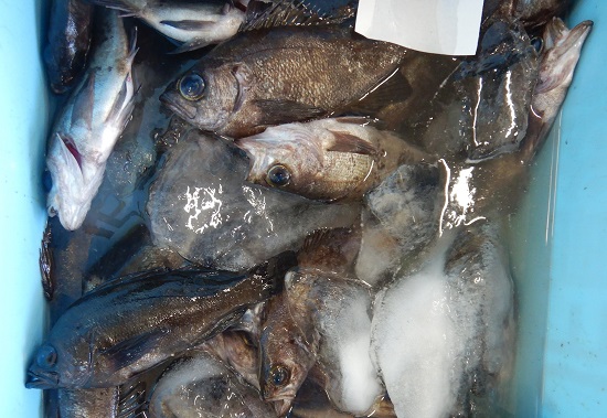
画像1 マダイ
(JPG:71.21KB)
撮影データ1 2022/1/26撮影 答志 マダイ
説明1  刺し網で漁獲されたマダイです。昨日は2kgを超える大きなマダイが大漁でした。春の産卵を控え、良く太っています。刺し身や塩焼き、てんぷらなどがおすすめです。
画像2 ヒラメ
(JPG:112.17KB)
撮影データ2 2022/1/26撮影 答志 ヒラメ
説明2  底びき網で漁獲されたヒラメです。寒さも強まりヒラメの漁獲が本格的に始まりました。マダイと同様に産卵を控えて今が一番良い時期です。刺し身がおすすめです。
画像3 メバル類
(JPG:134.34KB)
撮影データ3 2022/1/26撮影 答志 メバル類
説明3  刺し網で漁獲されたメバル類です。メバル類の種同定は難しく、メバル類とさせていただきます。答志市場は県内で最もメバル類の水揚げが多い市場です。定番の煮つけがおすすめです。
画像4 サヨリ
(JPG:140.06KB)
撮影データ4 2022/1/26撮影 答志 サヨリ
説明4  船びき網で漁獲されたサヨリです。この時期に答志地区ではサヨリを狙って船びき網で漁獲されます。高級食材で、寿司ネタや汁物として珍重されます。
画像5 コウイカ
(JPG:100.08KB)
撮影データ5 2022/1/26撮影 答志 コウイカ
説明5  底びき網で漁獲されたコウイカです。この日は大漁で、これまでの調査で最も多く漁獲されていました。刺し身や寿司、てんぷらがおすすめです。
操作

No.36以前のバックナンバー | 三重県水産研究所 | 戻る